Kaivoistentie 70, 21230 Masku Peltoalue

 
Kaivoistentie 70, 21230 Masku
Peltoalue

Mh. 130 000 €
Vh. 130 000 €

Kaivoistentie 70, 21230 Masku

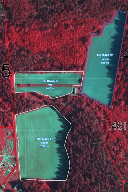
Peltoalueet ovat seitsemässä lohkossa käsittäen yhteensä n. 13,79 ha.
Pellot ovat olleet viljelykäytössä ja vuokrasopimus umpeutuu 31.12.2025

Sijainti
Masku, None, Kaivoistentie 70, 21230
Vapautuminen
Päivämäärä
Vapautumispäivä
2026-01-01

Kunta/kaupunki
Masku
Kiinteistötunnus
481-475-1-4
Tontin omistus
Oma
Lisätietoja tontista
Kantatilasta on myyty kolme erillistä määräalaa (8.3.2025 M601, 28.6.2025 M602 ja 26.8.2025 M603)
Kaavoitus
Ei kaavoitettu

Myyntihinta
130 000,00 €
Velaton myyntihinta
130 000 €
Lisätietoja maksuista
Tiemaksu
Takaisin hakuun